The Director of Planning and Building gives notice that North Cowichan Council will consider issuance of a Temporary Use Permit during their Regular Council Meeting to be held at 5:00 p.m. on Tuesday, September 26, 2023. This meeting, which will be conducted both in person in Council Chambers and electronically by video conference using the Cisco Webex platform, is open to the public and anyone wishing to participate may do so in person by attending Council Chambers, or by joining the meeting using a computer, smartphone or tablet. If you wish to participate electronically, please visit www.northcowichan.ca/virtualmeeting for instructions on how you can join this meeting. You may also view the meeting as it is streamed live by going to www.northcowichan.ca/Agendas, and click on the ‘View Live Stream’ link. A copy of the recording will be made available after the meeting on North Cowichan’s website for on-demand viewing.
Purpose of the Permit
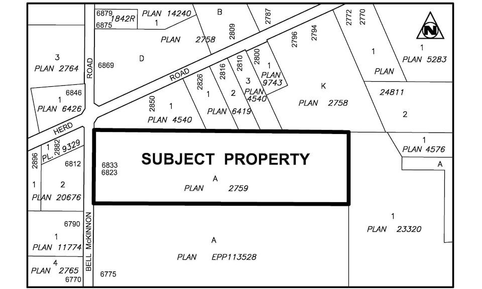
The purpose of the Temporary Use Permit is to temporarily allow (1) parking for construction worker vehicles, (2) trades trailers, and (3) storage of topsoil at 6823/6833 Bell McKinnon Road legally described as Lot A, Section 7, Range 6, Somenos District, Plan 2759 Except Part in Plan 46695 (PID: 006-341-616) during the Cowichan District Hospital replacement project.
The subject property is outlined in bold on the adjacent map.

Application and Supporting Documents
Relevant documents and information about this application will be published and available for public viewing on the Municipality of North Cowichan’s website within the online Regular Council Agenda at www.northcowichan.ca/Agendas on Friday, September 22, 2023.
You may also contact the Planning Department at 250-746-3119 or by email to [email protected] during regular business hours from 8:30 a.m. to 4:30 p.m., Monday to Friday (excluding Statutory Holidays) for more information specific to this application.
Public Input
If you believe your interests in land will be affected by the proposed permit, you are invited to submit your comments in writing to Mayor and Council by 1:00 p.m. on Monday, September 25, 2023 or verbally during the public input portion of the Regular Council Meeting. Please refer to the instructions provided:
In Writing in Advance of the Regular Council Meeting
Written submissions will be accepted by:
•Email to [email protected]
•Mail to Mayor and Council, Municipality of North Cowichan, 7030 Trans-Canada Highway, Duncan BC, V9L 6A1
•Fax to 250-746-3133
•In-Person deposited through the mail slot at the Municipal Hall, Main Entrance
Verbally during the Regular Council Meeting
•In Person by attending Council Chambers on September 26, 2023 during its regular meeting at 5:00 p.m.
•Electronically by visiting www.northcowichan.ca/virtualmeeting for instructions on how to join the meeting.
Written and oral submissions should reference permit number (TUP00029) and include your name and the civic address of the property impacted by the proposed permit. Please be advised all submissions, including the names of the authors will become part of the public record. The author’s phone number and email address are not relevant and should not be included in the correspondence if the author does not wish his or her personal information to be disclosed. All submissions received by the deadline will be reviewed by Council prior to making a decision on this application.
Rob Conway,
Director of Planning and Building
7030 Trans-Canada Highway | Duncan, BC V9L 6A1
T 250.746.3100 F 250.746.3133 www.northcowichan.ca
