The Director of Planning and Building gives notice that Public Hearings will be held at 7:00 p.m. on Wednesday, December 20, 2023 to allow Council to receive public input on Bylaws No. 3937 and No. 3938 which propose to amend Zoning Bylaw 1997, No. 2950. As authorized by the Local Government Act, these hearings will be conducted by electronic means and members of the public will be provided an opportunity to be heard verbally or by submitting their comments in writing in advance of the hearings. These hearings will be conducted by video conference using the Cisco Webex platform, and though electronic, is open to the public and anyone wishing to participate may do so in person by attending Council Chambers, or by joining the meeting using a computer, smartphone, or tablet. If you wish to participate electronically, please visit www.northcowichan.ca/virtualmeeting for instructions on how you can join the hearings and find the link to join. You may also view the hearings as they are streamed live by going to www.northcowichan.ca/Agendas and click on the ‘View Live Stream’ link. A copy of the recording will be made available after the hearing on North Cowichan’s website for on-demand viewing.
Zoning Amendment Bylaw No. 3937 (7475 Bell McKinnon Road), 2023

proposes to amend Zoning Bylaw 1997, No. 2950, section 52 (4) (e) [Density in the Rural Zone (A2)] by adding the following as subsection (g): “(g) Despite section 52(4) above, a maximum of two residential buildings with a total combined maximum of two dwelling units, the smaller of which must not exceed 170m2 is permitted on the following properties: i. 7475 Bell McKinnon Road (PID 009-785-965).”
The purpose of the amendment is to allow for a detached second dwelling unit on the subject property (PID: 009-785-965) as shown outlined in bold on the map
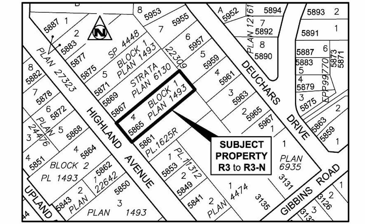
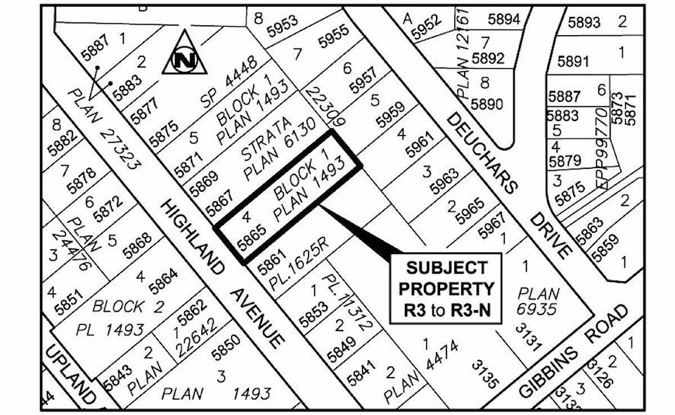
Zoning Amendment Bylaw No. 3938 (5865 Highland Avenue), 2023

proposes to amend Zoning Bylaw 1997, No. 2950 by reclassifying 5865 Highland Avenue (PID: 001-234-528) from Residential One and Two-Family Zone (R3) to Infill Residential Neighbourhood Zone (R3-N).
The purpose of the amendment is to allow for a detached dwelling unit on the subject property (PID: 001-234-528) as shown outlined in bold on the map.
PUBLIC INPUT
If you believe your interests in land will be affected by the proposed bylaws, you are encouraged to submit your comments in writing to Mayor and Council by 1:00 p.m. on Monday, December 18, 2023, using any of the writing methods identified below. Comments may also be shared verbally during the Public Hearing, by following the instructions provided below.
1. In Writing in Advance of the Public Hearings:
Written submissions will be accepted by:
- Email to [email protected]
- Mail to Mayor and Council, Municipality of North Cowichan, 7030 Trans-Canada Highway, Duncan BC, V9L 6A1
- Fax to 250-746-3133
- In-Person deposited through the mail slot at the Municipal Hall, Main Entrance
2. Verbally or in Writing at the Public Hearings:
- In Person by attending Council Chambers at Municipal Hall, 7030 Trans-Canada Highway, Duncan BC.
- Virtually by logging in electronically, details and instructions will be available at least one week prior to the Hearing at www.northcowichan.ca/PublicHearings.
- Written submissions may be submitted during the Public Hearing by presentation to the Corporate Officer or her designate.
PLEASE NOTE: Submissions should reference the bylaw number and include your name and the civic address or legal description of the land affected by the proposal. Please be advised that all submissions, including the individual’s name and address will form part of the public record and will be published on North Cowichan’s website. Do not include any personal information in your submission that you do not wish to be disclosed, as submissions received are public documents and will not be redacted (with the exception of email addresses on electronic submissions, phone numbers and signatures). Written submissions will not be accepted after the conclusion of the Public Hearing.
Copiesof the bylaws and related documents, including public comments received in writing, will be available to inspect online at www.northcowichan.ca/PublicHearings until the close of the Public Hearing. The documents may also be inspected in the Planning Department at the Municipal Hall, Monday to Friday (excluding statutory holidays) between 8:30 a.m. and 4:30 p.m. from November 29, 2023 to December 20, 2023.
Rob Conway
Director, Planning and Building
Personal information is collected by North Cowichan under the authority of s. 26 (c) of the Freedom of Information and Protection of Privacy Act for the purpose of administering the Public Hearing. Please direct any questions about personal information to North Cowichan’s Privacy Officer by Phone: 250-746-3116, Email: [email protected] or Regular Mail: 7030 Trans-Canada Highway, Duncan, BC, V9L 6A1
7030 Trans-Canada Highway, Duncan BC V9L 6A1
T: 250-746-3100 F: 250-746-3133 www.northcowichan.ca
